O meteorologista Matthew Cappucci, do jornal The Washington Post, que voou dentro do furacão Melissa anteontem a bordo de um avião caça-furacões da NOAA, compartilhou em suas redes sociais uma previsão alarmante para a Jamaica:
Furacão Melissa atinge a Jamaica com força sem precedentes
Com força histórica, tempestade causa destruição extrema, chuvas acima de 1000 mm e ameaça tornar regiões inteiras inabitáveis por anos.
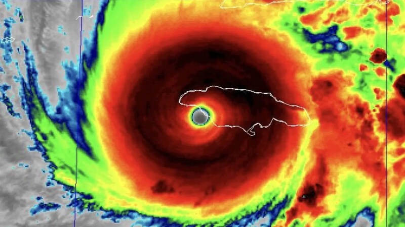
O furacão Melissa atingiu a Jamaica por volta das 14h desta terça-feira (hora de Brasília) com força devastadora, sendo considerado um dos piores já registrados no Atlântico e no Hemisfério Ocidental. Com ventos entre 300 km/h e 350 km/h, o fenômeno deve causar destruição total em várias áreas, comparável à de tornados de categoria F4 e F5, porém em escala muito mais ampla.

A MetSul Meteorologia alertou para danos “inimagináveis”, com regiões possivelmente varridas do mapa e inabitáveis por anos. O Centro Nacional de Furacões dos EUA (NHC) prevê risco de colapso estrutural total em partes da ilha.
Além dos ventos extremos, Melissa deve provocar chuvas superiores a 1000 mm, gerando inundações catastróficas, deslizamentos e uma maré de tempestade com ondas de vários metros, semelhantes a um tsunami. Após cruzar a Jamaica de Sul para Norte, o furacão seguirá para o Leste de Cuba, Turks e Caicos e depois para as Bahamas, já com intensidade reduzida.
“Hoje é um dia grave e sombrio. O sol acaba de nascer na Jamaica. Esta é a última vez que a paisagem parecerá como está agora. Cerca de 40% da ilha está prestes a perder a maior parte de sua vegetação. A cicatriz deixada na paisagem levará uma década ou mais para se curar. A parede do olho se aproxima. Ainda está repleta de relâmpagos, o que indica que a tempestade mantém sua intensidade — ou até pode estar se fortalecendo. O anel interno de ventos, como uma serra elétrica, trará condições semelhantes a tornados por até três horas. A maioria das construções bem edificadas será gravemente danificada ou destruída. Detritos lançados pelo vento se transformarão em projéteis letais. Carros compactos e SUVs menores serão erguidos do solo. Prédios altos e edifícios residenciais de vários andares perderão todas as janelas e partes de telhados e paredes; alguns poderão balançar perigosamente, talvez até o ponto de colapso total”.